Authorities stated a call on whether or not to problem a compulsory evacuation order can be made later within the day, whereas imploring residents to evacuate, with help being supplied.
Some residents, nevertheless, selected to remain put, and authorities stated some have refused to board evacuation buses.
“We’re driving out the storm, we’re not going to go anyplace. Simply sitting down and watch every little thing, ensure that every little thing’s working good,” stated Douglas Butler, an area boat captain in Port Royal. “I simply take issues straightforward. So long as I’ve my meals, I can eat. That’s a very powerful factor.”
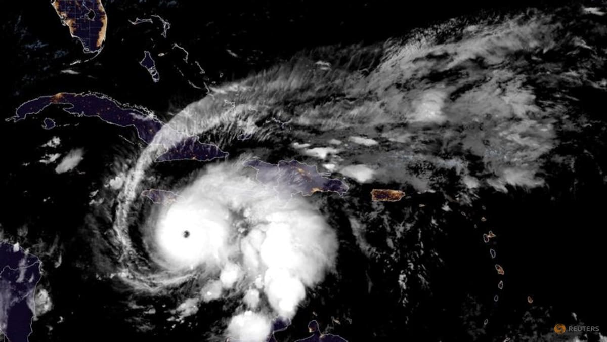
The NHC stated Melissa is anticipated to convey 15 to 30 inches of rain to Jamaica and southern Hispaniola with an area most of as much as 40 inches. Japanese Cuba is anticipated to obtain 10 to fifteen inches, with native quantities of as much as 20 inches.
Dana Morris Dixon, Jamaica’s data minister, stated the regional catastrophe company, Caribbean Catastrophe Emergency Administration Company, is able to present help, and several other worldwide companions have already pledged assist.
“We are going to expertise the depth of the hurricane tomorrow night time Monday going into Tuesday,” Morris Dixon stated. “That is rainfall we have not seen earlier than.”
