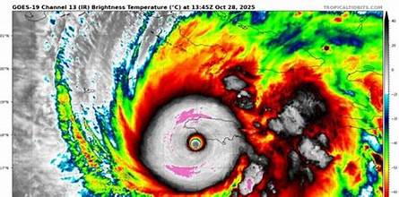
Hurricane Melissa reached most Class 5 energy when it made landfall in Jamaica. The sudden onslaught of destruction can’t be described except you’ve seen the apocalyptic land of a coastal city that has obtained a direct hit from a hurricane. The harm from Melissa is unknown, however preliminary calculations counsel it could possibly be one-third of the nation’s GDP.
Jamaican Prime Minister Andrew Holness stated the harm could possibly be as much as 32% of final 12 months’s GDP. The $7 billion in harm is a conservative estimate. “Specialists describe Melissa to be on the very edge of what’s bodily doable within the Atlantic Ocean, a storm powered by file sea temperatures,” he stated. “Its drive was so immense that seismographs tons of of miles away registered its passage.” Holness stated that the nation’s infrastructure have to be reformed to guard it from future climate occasions.
Financial output is more likely to decline by a minimal of 13% because of the harm because the nation closely depends on tourism. Tourism immediately accounts for 9.5% to 10.5% of Jamaica’s GDP, however accounts for 30% when factoring within the oblique results. Final 12 months, the nation skilled record-breaking income after producing $4.3 billion. The federal government had anticipated it could surpass final 12 months’s file and safe $5 billion from tourism this 12 months.
Agriculture is anticipated to be disrupted because of the hurricane, a sector that contributes 17.4% to Jamaica’s GDP. The loss will likely be extra vital for the nation as home manufacturing accounts for a good portion of the nation’s recent produce provide.
America is offering $12 million in pressing support to Jamaica as half of a bigger $24 million package deal for the Caribbean. Jamaica closely depends on the US for imports, with the overall share of products from the US reaching as much as 60% yearly. It’s a small island with a small financial system. The nation was on the up earlier than the hurricane, and it’ll take time to get better. Even the Tampa Bay space in Florida remains to be engaged on repairs almost a 12 months after Hurricane Helene and Milton hit back-to-back. My condolences are with the Jamaican folks recovering from this tragedy.
